BIOVIA Formulation Design
BIOVIA Formulation Design es una solución avanzada para diseñar, optimizar y gestionar formulaciones de productos de manera más rápida y eficaz. Permite explorar espacios de formulación, predecir propiedades, gestionar ingredientes y cumplir requisitos regulatorios, reduciendo costes y tiempo de desarrollo. Es deal para industrias como alimentación, cosmética, química y farmacéutica, impulsa la innovación con un enfoque científico y basado en datos.
Descripción

Las organizaciones que fabrican productos basados en fórmulas deben garantizar la conformidad normativa de forma global y eficiente para gestionar todo el ciclo de vida desde la idea hasta la etiqueta. Al facilitar la gestión de la complejidad del producto y los requisitos normativos de las formulaciones globales, la solución de BIOVIA para el diseño y la gestión de formulaciones ayuda a mejorar la productividad, a gestionar los costes y a acelerar la comercialización de los productos.
Los formuladores obtienen una guía normativa instantánea durante el desarrollo de la formulación y un acceso seguro a todos los datos de desarrollo de productos actuales y anteriores, lo que aumenta significativamente la eficacia. BIOVIA ayuda a acelerar la innovación y el lanzamiento de productos al tiempo que cumple con complejos requisitos normativos.
BIOVIA Formulation Design es una solución nativa en la nube diseñada para que los formuladores puedan crear, optimizar y gestionar fórmulas de forma más rápida, segura y colaborativa. Integra funcionalidades específicas para la industria, asegurando eficiencia, cumplimiento y reutilización del conocimiento técnico.

Ideal para reformular basándose en datos probados y evitar errores del pasado.


Incluye múltiples tipos de cálculos adaptados al trabajo real de laboratorio:

Perfecto para empresas con procesos regulados o alta complejidad operativa.
Muy útil para mantener bases de datos de materias primas actualizadas y coherentes.
Reformulación de recetas, cumplimiento normativo, gestión de ingredientes, simulación de variantes.
Control de ingredientes activos, regulación de alérgenos, testing de nuevas variantes, trazabilidad.
Ajuste de dosis, cumplimiento normativo (FDA 21 CFR Part 11), premezclas, control por unidad.
Variabilidad de fórmulas según región, control de ingredientes funcionales, etiquetado.
Fórmulas complejas, ajustes según propiedades funcionales, integración con laboratorios.
DESCRIPCIÓN
Gestión eficaz de formulaciones

Las organizaciones que fabrican productos basados en fórmulas deben garantizar la conformidad normativa de forma global y eficiente para gestionar todo el ciclo de vida desde la idea hasta la etiqueta. Al facilitar la gestión de la complejidad del producto y los requisitos normativos de las formulaciones globales, la solución de BIOVIA para el diseño y la gestión de formulaciones ayuda a mejorar la productividad, a gestionar los costes y a acelerar la comercialización de los productos.
Los formuladores obtienen una guía normativa instantánea durante el desarrollo de la formulación y un acceso seguro a todos los datos de desarrollo de productos actuales y anteriores, lo que aumenta significativamente la eficacia. BIOVIA ayuda a acelerar la innovación y el lanzamiento de productos al tiempo que cumple con complejos requisitos normativos.
CARACTERISTICAS
BIOVIA Formulation Design es una solución nativa en la nube diseñada para que los formuladores puedan crear, optimizar y gestionar fórmulas de forma más rápida, segura y colaborativa. Integra funcionalidades específicas para la industria, asegurando eficiencia, cumplimiento y reutilización del conocimiento técnico.
Aprovechamiento del conocimiento existente
"Leverage past work for new projects"
- Acceso rápido a datos históricos y formulaciones previas para acelerar la reformulación.
- Búsqueda avanzada combinando ingredientes, resultados de pruebas y otras variables.
- Control de acceso estricto para garantizar seguridad y confidencialidad de los datos.
Ideal para reformular basándose en datos probados y evitar errores del pasado.
Creación y gestión de múltiples fórmulas
"Create multiple new formulas: faster, better and easier than ever"
- Interfaz moderna e intuitiva que reduce la curva de aprendizaje.
- Vista detallada de la composición de ingredientes en tiempo real.
- Gestión del linaje de la fórmula: seguimiento del historial de versiones, orígenes y relaciones.
- Edición de varias fórmulas en pantalla única (ideal para gamas de producto o variantes).
- Compartición segura para fomentar colaboración entre formuladores, I+D, calidad y regulatorio.
Cálculos específicos para formulación
"Support for various formulation methods"
Incluye múltiples tipos de cálculos adaptados al trabajo real de laboratorio:
- As added basis: proporciones antes del procesamiento.
- As formed basis: proporciones tras completar la fórmula.
- Active level basis: cantidades en función de la actividad del ingrediente.
- Per piece basis: cantidades por unidad (dosis, cápsula, etc.).
- QS ingredients: ajuste automático de ingredientes de relleno.
- Premixes: creación y reutilización de premezclas en distintos niveles.
- Formula summary: vista consolidada y aplanada de la fórmula final.
Cumplimiento normativo en tiempo real
"Real-time regulatory compliance monitoring"- Verificación automática del cumplimiento durante el diseño.
- Evita dedicar tiempo a fórmulas que no superarían los controles regulatorios.
- Minimiza retrabajos y acelera el “time-to-market”.
Informes completos y personalizados
"Convenient reporting"- Generación de informes detallados sobre las fórmulas y su evolución.
- Permite documentar y compartir información técnica clave fácilmente.
- Visión clara del proceso y resultados del desarrollo.
Integración con otros sistemas
"Formulation APIs"- APIs documentadas para conectarse con herramientas externas.
- Comunicación eficiente con otros sistemas (ERP, LIMS, MES, etc.).
- Ampliación de funcionalidades mediante eventos de la plataforma 3DEXPERIENCE®.
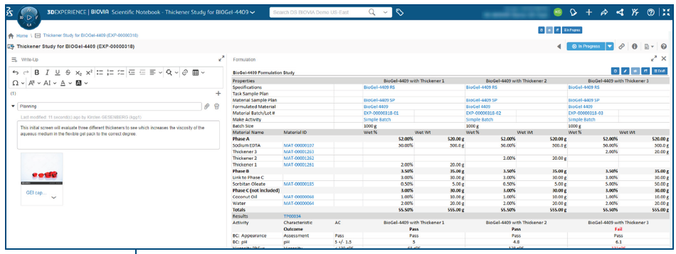
Integración con BIOVIA Scientific Notebook (ELN)
"Seamless integration with Scientific Notebook"
- Lanza estudios de formulación desde Formulation Design en el cuaderno electrónico.
- Vista unificada de fórmulas, especificaciones, ensayos y resultados.
- Mejora la eficiencia de pruebas y documentación de reformulaciones.
Conexión con operaciones de laboratorio
"Integrated with Lab Operations"- Tras diseñar la fórmula, se puede generar automáticamente un batch plan.
- Definición de especificaciones de ensayo y flujos de aprobación antes de la producción.
- Mejora la coherencia entre diseño, ejecución y control de calidad.
Perfecto para empresas con procesos regulados o alta complejidad operativa.
Gestión de ingredientes
"Integration with Materials Management"- Creación y edición de ingredientes directamente desde la plataforma.
- Acceso rápido y centralizado a especificaciones, restricciones y disponibilidad.
Muy útil para mantener bases de datos de materias primas actualizadas y coherentes.
SECTOR
- Alimentación y bebidas (Food & Beverage)
Reformulación de recetas, cumplimiento normativo, gestión de ingredientes, simulación de variantes.
- Cuidado personal y cosmética
Control de ingredientes activos, regulación de alérgenos, testing de nuevas variantes, trazabilidad.
- Productos farmacéuticos y nutracéuticos
Ajuste de dosis, cumplimiento normativo (FDA 21 CFR Part 11), premezclas, control por unidad.
- Hogar y limpieza
Variabilidad de fórmulas según región, control de ingredientes funcionales, etiquetado.
- Productos químicos especializados (Specialty Chemicals)
Fórmulas complejas, ajustes según propiedades funcionales, integración con laboratorios.
MODULOS
Cada módulo, una ventaja para acelerar tu innovación.
| MÓDULO | DESCRIPCIÓN FUNCIONAL | BENEFICIOS CLAVE |
| Gestión de fórmulas | Espacio central para diseñar, editar y visualizar fórmulas. Incluye seguimiento del linaje y versión. | Reformulación rápida, trazabilidad total, ahorro de tiempo. |
| Calculadoras de formulación | Cálculos por base añadida, formada, nivel activo, por unidad, QS y premixes. | Precisión técnica, cumplimiento normativo, flexibilidad para múltiples sectores. |
| Gestión de ingredientes | Creación y edición de ingredientes. Acceso a restricciones, pureza y disponibilidad. | Consistencia en recetas, cumplimiento de normativas, mejor control de calidad. |
| Cumplimiento normativo | Validación en tiempo real durante el diseño de la fórmula. | Prevención de errores, reducción de reformulaciones tardías, aceleración de tiempos. |
| Informes y reportes técnicos | Generación de informes personalizados sobre fórmulas, cambios y pruebas. | Documentación clara, soporte a auditorías y decisiones basadas en datos. |
| Integración con Scientific Notebook | Flujo directo de trabajo con el cuaderno de laboratorio electrónico (ELN). | Mejora la eficiencia experimental, centraliza información de desarrollo. |
| Operaciones de laboratorio | Permite lanzar planes de lote y definir ensayos desde la fórmula. | Conexión entre diseño y ejecución, reducción de errores en producción. |
| APIs e integraciones externas | Conectividad con LIMS, ERP, PLM y otros sistemas vía APIs y eventos de plataforma. | Ecosistema digital conectado, automatización de procesos, eliminación de silos. |
